When we think of dangerous animals, we often think of lions, sharks, or snakes. However, the world's most dangerous insect is often overlooked: the kissing bug. In this article, we'll explore what the kissing bug is, why it's considered so dangerous, and how to protect yourself from it.

What is a kissing bug?
Kissing beetles, also known as trilobites, belong to the family Platyhelminthes. They get their name from their habit of biting humans' mouths or eyes while they sleep, resembling a kiss. These insects are mainly distributed in Central and South America, but are also found in parts of the southern United States.
Why are kissing bugs dangerous?
1. Chagas disease
The greatest danger of kissing bugs lies in their role as a vector for Chagas disease. This disease is caused by the parasite Trypanosoma cruzi , which the kissing bug carries. When it bites a human, the kissing bug often defecates at the bite site. If the bug's feces enter the wound or come into contact with mucous membranes (such as the eyes), the parasite can enter the bloodstream, leading to Chagas disease.
2. Symptoms of Chagas disease
Chagas disease can be acute or chronic. In the acute phase, symptoms may include fever, fatigue, body aches, and swelling at the bite site. Many people are unaware they have contracted the disease at this stage. If left untreated, the disease can progress to a chronic phase, leading to serious complications such as heart and digestive problems, even years later.

How to identify kissing bugs
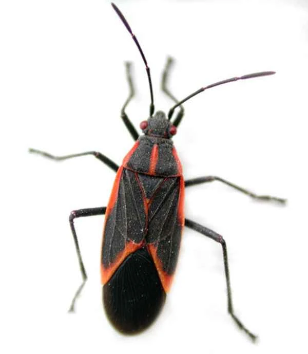
Kissing beetles can vary in appearance, but they are typically flat and oval-shaped, about 1-3 cm in length. They usually have distinct colors, with brown or black bodies and red or orange markings. Knowing how to identify these insects is important, especially when living in or traveling in areas where they are common.
Prevention and protection
1. Family Protection
To reduce the risk of contact with kissing bugs, please take the following precautions:
Seal gaps : Ensure windows and doors are properly sealed to prevent insects from entering your home.
Use window screens : Installing window and door screens allows fresh air to enter while preventing insects from getting in.
Keep your home clean : Regularly clean your home and remove clutter, as these can provide hiding places for insects.
2. Outdoor prevention
If you are outdoors in an area where kissing bugs are common, consider the following suggestions:
Wear protective clothing : Long sleeves and long pants can protect your skin from bites.
Use insect repellent : Apply an insect repellent containing DEET or other active ingredients to exposed skin.
While we often perceive large animals as the most dangerous, kissing bugs remind us that tiny creatures can also pose a significant threat to our health. By understanding the dangers of kissing bugs and taking steps to prevent bites, we can protect ourselves and our families from Chagas disease. Stay informed and stay safe!
What would happen if I got bitten by a kissing bug?
Getting bitten by a kissing bug can be alarming, but knowing what happens can help you stay calm. Here's a brief overview of what might happen after being bitten.
1. What is a kissing worm?
Kissing beetles, also known as trilobites, are insects that are primarily active at night. They are named for their tendency to bite people's mouths or eyes. Like mosquitoes, they feed on blood.
2. Immediate effects of bites
When a kissing bug bites you, you may not feel pain immediately. Their saliva has an anesthetic effect, so you might not notice the bite at first. However, after some time, you may experience:
Redness and swelling : The area around the bite site may become red and swollen.
Itching : You may feel an itch at the bite site, similar to the feeling of a mosquito bite.
Swelling : Some people may experience more noticeable swelling, which may last for several days.
3. Risk of infection
A major concern with kissing bug bites is the potential for infection. If the bug defecates near the bite and you accidentally smear it on the wound, you may come into contact with the parasite that causes Chagas disease.
4. What is Chagas disease?
Chagas disease is caused by the parasite Trypanosoma cruzi , which may be carried by the kissing worm. Its mechanism of action is as follows:
Initial symptoms : A few weeks later, you may develop symptoms such as fever, fatigue, body aches, or swelling at the bite site.
Chronic stage : If left untreated, Chagas disease can become chronic, leading to serious heart and digestive problems, even years later.
5. When to see a doctor
If you suspect you've been bitten by a kissing bug, please observe your symptoms. You should see a doctor if you experience any of the following:
Severe swelling : If the swelling worsens or spreads.
Persistent fever : If you have a fever for more than a few days.
Abnormal symptoms : If you feel extremely tired or experience other unusual symptoms.
6. Preventive measures
To avoid being bitten by kissing bugs in the future, consider the following suggestions:
Seal your home : Seal any cracks or crevices that could allow insects to enter.
Use screens : Install screens on windows and doors to prevent insects from entering.
Keep it clean : Keep your home tidy and reduce clutter, as these can provide hiding places for insects.
Being bitten by a kissing bug can cause discomfort and potential health risks, such as Chagas disease. However, knowing the symptoms and when to seek medical help can be helpful. By taking preventative measures, you can reduce your chances of encountering these bugs. If you have any concerns or questions, feel free to consult a medical professional!
How to Get Rid of Kissing Bugs: A Comprehensive Guide
Kissing bugs, also known as trilobites, are not only an annoying pest but can also pose health risks, particularly linked to Chagas disease. If you find these bugs in or around your home, it's important to take action. Here's a comprehensive guide on how to effectively eliminate kissing bugs.
1. Identifying kissing bugs
Before removing kissing bugs, you need to identify them. Kissing bugs typically have the following characteristics:
Size : Approximately 1 to 3 centimeters long.
Color : They typically have flat, oval bodies, are brown or black, and have red or orange markings.
Behavior : Most are active at night, and tend to hide in crevices and cracks during the day.
2. Close the entrance
The first step in controlling kissing bugs is to prevent them from entering your home.
Check for cracks : Inspect windows, doors, and the foundation of the house for cracks or gaps.
Use sealant : Fill any gaps with sealant to close any potential entry points.
Install screens : Make sure your windows and doors have screens to allow fresh air in while keeping insects out.
3. Keep your home clean.
Kissing beetles are attracted to clutter and debris; keeping your home tidy can help repel them.
Clean up clutter : Remove unnecessary items and clutter to reduce hiding places for insects, such as piles of clothes, boxes, and newspapers.
Regular cleaning : Vacuum and clean regularly to eliminate potential hiding places.
4. Use insecticides
If kissing bugs are already in your home, insecticides can help eliminate them.
Choose the right insecticide : Look for insecticides specifically labeled for kissing bugs or general pests. Products containing pyrethroids are usually effective.
Follow instructions : Always carefully read and follow the manufacturer's instructions before use to ensure safe use.
Targeting hiding places : Spray insecticide in places where kissing bugs may hide, such as corners, under furniture, and in cracks.
5. Consider professional pest control services.
If you are facing a severe pest infestation or are uneasy about using pesticides, hiring a professional pest control service may be the best option.
Consulting experts : Professionals can provide comprehensive inspections, identify entry points, and effectively apply treatment methods.
Prevention : They can also provide preventative treatment to help prevent future kissing bug infestations.
6. Outdoor prevention
Taking measures outside the home can also help reduce the likelihood of kissing bugs entering.
Trim plants : Trim shrubs and trees near the house to eliminate potential hiding places.
Clean up debris : Clear away wood piles, fallen leaves, and other organic materials, as these may attract insects.
Check outdoor lighting : Use yellow or sodium vapor lamps instead of regular white lights, as these attract fewer insects.
7. Self-education and publicity
Understanding kissing bugs and their behavior can help you stay vigilant.
Spread awareness : Educate family and friends about the importance of early detection of kissing bugs.
Recognize the signs : Familiarize yourself with the signs of a kissing bug infestation, such as finding them in your home or noticing their droppings.
Eliminating kissing bugs requires a combination of prevention, cleaning, and treatment. By sealing entrances, maintaining a clean environment, using insecticides, or seeking professional help, you can effectively eradicate these pests in your home. Staying informed and proactive are key to keeping your living space pest-free and safe!
Bugs that look like kissing bugs: Identification and differentiation
Kissing beetles, also known as trilobites, are easily confused with other insects due to their appearance. Knowing which insects resemble kissing beetles can help you accurately identify them and determine if there is any risk. Below is a detailed introduction to insects that look like kissing beetles, including how to identify them and the main differences between them.
1. Overview of Kissing Bugs
Kissing bugs typically have the following characteristics:
Size : 1 to 3 centimeters long.
Color : Brown or black with red or orange markings.
Shape : Flat oval body, long legs and long antennae.
Behavior : Primarily active at night, usually hiding in crevices and cracks during the day.
2. Insects similar to kissing bugs
A. Maple Insect (Boisea trivittata)

Appearance : Maple worms are black with orange or red markings, similar to kissing worms.
Size : Slightly smaller, usually about 1/2 inch long.
Behavior : Commonly found on maple trees, it often enters homes in autumn.
Key differences : Maple crickets have a more slender body shape and are not as flat as kissing crickets.
B. Bed bugs (Pentatomidae family)

Appearance : Bed bugs are usually green or brown and shield-shaped. Some species may have markings similar to kissing bugs.
Size : They range in size from 1/2 to 1 inch in length.
Behavior : Bed bugs are common in gardens and fields and may release an unpleasant odor when disturbed.
Key differences : their bodies are more rounded and shield-shaped, while kissing crickets are flat and oval.
C. Other true insects (Hemiptera order)

Many true insects in the order Hemiptera may resemble kissing insects, including:
Leaf-footed insects : These insects have flat, leaf-like extensions on their hind legs.
Assassin bugs : Although they may be larger and come in various colors, some species may resemble kissing bugs.
Key differences : They can usually be distinguished by shape and color patterns. True beetles may have more diverse shapes and colors, while kissing beetles have a consistent flat shape and markings.
3. The Importance of Accurate Identification
Identifying insects that look like kissing bugs is very important for the following reasons:
Health risks : Although kissing bugs can transmit Chagas disease, many similar bugs do not pose a health threat.
Pest control measures : Understanding the specific types of insects helps in choosing the appropriate pest control measures.
Prevention : Knowing which insects are harmless can reduce unnecessary fear and help develop more effective prevention strategies.
4. Methods to avoid confusion
To avoid confusing kissing bugs with similar insects, consider the following tips:
Examine the body shape : Note the overall shape and size of the insect.
Examine the markings : Kissing beetles have distinctive red or orange markings; check these features.
Behavior and Habitat : Observe the insect's behavior and where it is found. Kissing insects usually hide in dark, secluded places.
5. When to seek help
If you suspect you've found a kissing bug or something similar, but are unsure of its identity:
Catch the insects : If it is safe, catch the insects and put them in a container for identification.
Consult experts : Seek help from local pest control professionals or entomologists.
Record information : Take photos and record the location and time of the insect's discovery for identification purposes.
While many insects can resemble kissing bugs, understanding their differences is crucial for accurate identification. By paying attention to size, shape, color, and behavior, you can better protect yourself and your home from potential pests. If unsure, seek professional help to ensure accurate identification and appropriate action.
Kissing Bugs and Assassin Bugs: Key Differences and Similarities
Kissing beetles and assassin beetles are both members of the order Hemiptera, but they differ significantly in characteristics, behavior, and ecological roles. Understanding these similarities and differences is crucial for accurately identifying and assessing potential risks.
1. Overview
Kissing bugs (Triatominae)
Appearance : Kissing beetles typically have a flat, oval body and long legs. Their color ranges from brown to black, and they often have red or orange markings.
Size : Adult insects are generally between 1 and 3 centimeters in length.
Habitat : They are usually found in human settlements, especially in rural areas and warm climates, often hiding in cracks, crevices and under furniture.
Reduviidae (Assassin Bug)
Appearance : The body shape of the assassin beetle is more slender than that of the kissing beetle, and it comes in a variety of colors, including brown, black, and some species with bright patterns.
Size : The size of the assassin beetle varies considerably, usually between 1 and 4 centimeters.
Habitat : Assassin bugs can be found in a variety of habitats, including gardens, forests, and grasslands. They typically hunt on plants or in fallen leaves.
2. Feeding behavior
Kissing bug
Diet : Kissing bugs are blood-sucking insects, primarily feeding on the blood of mammals (including humans).
Feeding method : They use their long, thin mouthparts (beaks) to pierce the skin and suck blood. Usually, they will defecate nearby after being bitten, and their feces may carry the protozoan of Chagas disease ( Trypanosoma cruzi ).
Assassin Insect
Diet : Assassin beetles are predatory insects that mainly prey on other insects, making them beneficial insects for controlling pest populations.
Feeding method : They use their sharp beaks to pierce the exoskeleton of their prey and inject digestive enzymes to liquefy the prey's tissues before swallowing them.
3. Behavior and Ecology
Kissing bug
Behavior : Kissing beetles are nocturnal and typically seek out blood sources at night. They are attracted by body heat and exhaled carbon dioxide.
Ecological role : Although they play a role in the ecosystem, their association with Chagas disease makes them a significant health risk in rural areas of Latin America.
Assassin Insect
Behavior : Assassin insects are also nocturnal, but some species will actively hunt during the day. They often camouflage themselves in their environment to ambush prey.
Ecological role : Assassin insects are beneficial predators that help control pest populations and are of great value in agriculture and natural ecosystems.
4. Health risks
Kissing bug
Disease transmission : Kissing bugs are known vectors of Chagas disease. The risk of infection increases if their feces contaminate bites or mucous membranes.
Symptoms : While many bites may not cause a severe reaction, infection with Trypanosoma cruzi can lead to serious long-term health problems.
Assassin Insect
Health risks : Most assassin bugs are harmless to humans; however, some species may bite when threatened, and bites may cause mild pain or irritation.
Disease transmission : Assassin bugs are not typically associated with the transmission of any human diseases.
In summary, although kissing insects and assassin insects share some similarities within the order Hemiptera, they differ significantly in appearance, behavior, feeding habits, and health risks. Kissing insects may pose a health risk due to their association with Chagas disease, while assassin insects are beneficial predators that help control pest populations. Understanding these differences is crucial for the proper identification and management of these insects in the environment. If you suspect you have encountered kissing insects or assassin insects, knowing how to distinguish between them will help you take appropriate action.